Bán lô đất thổ hai mặt tiền tỉnh lộ 833 giá 2,1tỷ Bán lô đất thổ hai mặt tiền tỉnh lộ 833 giá 2,1tỷ Bán lô đất thổ hai mặt tiền tỉnh lộ 833 giá 2,1tỷ Bán lô đất thổ hai mặt tiền tỉnh lộ 833 giá 2,1tỷ Bán lô đất thổ hai mặt tiền tỉnh lộ 833 giá 2,1tỷ

Bán lô đất thổ hai mặt tiền tỉnh lộ 833 giá 2,1tỷ

  • Giá : 2.1 tỷ
  • Diện tích : 314 m2
  • Ngày đăng : 10/03/2026
  • Mã tin : 803763
Thông tin mô tả
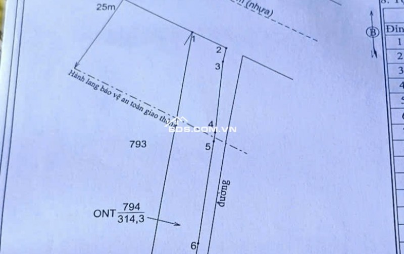
Bán lô đất thổ hai mặt tiền tỉnh lộ 833 giá 2,1tỷ
Vị trí nằm khu vực xã Vàm Cỏ, Tỉnh Tây Ninh
Diện tích : 314,3m2 Thổ
Kích thước ( 6,9x45)
Cách đường Quốc Lộ 50B 2km
Cách Cầu Triêm Đức 1 km
Cách UBND huyện Tân Trụ 3,4 km
Hướng Bắc
Đường tỉnh lộ 833 9 m nhựa
Đất vị trí đẹp không dính quy hoạch, không mồ mã, nền hạ cao ráo thoáng mát hai mặt tiền, thích hợp kinh doanh mua bán, xây nhà trọ, làm kho xưởng hỗ trợ vay ngân hàng
Toạ độ: 10.490786,106.524249
Pháp lý rõ ràng , thương lượng chính chủ
Giá bán 2,1 tỷ (6,687,000₫/m2)
Liên hệ SĐT/Zalo (0983.867.183) để biết thêm chi tiết.
Http://Nhadattantru.com
Nhận ký gửi và môi giới nhà đất
Hướng dẫn thủ tục pháp lý nhà đất.
68